edición general
256 meneos
3092 clics
¿Por qué casi un 10% de tu ADN está formado por restos de virus?

¿Por qué casi un 10% de tu ADN está formado por restos de virus?

Cuando los descubrieron fueron tildados como "basura genética": los retrovirus endógenos son una especie de virus "fosilizados" desde hace millones de años en nuestro genoma. Son restos de infecciones virales antiquísimas, que afectaron a las células germinales de nuestros antepasados. Hoy se estima que estas secuencias virales de ADN, conocidas como HERV por sus siglas en inglés (human endogenous retrovirus) conforman hasta el 8% de nuestro genoma. A pesar de esa presencia significativa en nuestro ADN, estos restos de virus no son patógenos.
128 128 3 K 258 cultura
128 128 3 K 258 cultura
360 meneos
9689 clics
Descifrado el manuscrito Voynich [ENG]

Descifrado el manuscrito Voynich [ENG]

El manuscrito más misterioso del mundo es conocido como Voynich. Aunque varios de sus símbolos (especialmente las ligaduras) son reconocibles, adoptados por razones de economía por los escribas medievales, las palabras formadas por sus caracteres cuidadosamente agrupados no parecen corresponder a ningún idioma conocido. Como especialista con una larga experiencia en la interpretación de inscripciones latinas en los monumentos clásicos y tumbas en las iglesias parroquiales inglesas, reconocí en el guión de Voynich signos de un latin simplificado
617 meneos
2686 clics
Informan a los alcaldes que deben ceder locales para el referéndum y les dan 48 horas para alegar

Informan a los alcaldes que deben ceder locales para el referéndum y les dan 48 horas para alegar

El presidente de la Generalitat, Carles Puigdemont, y el vicepresidente, Oriol Junqueras, han enviado una carta a los alcaldes catalanes para avisarles de que deben ceder para el referéndum del 1 de octubre los locales que habitualmente se utilizan como puntos de votación, y dan 48 horas para confirmar que así se hará o bien para comunicar cualquier cambio o alegación.
1044 meneos
8377 clics
De dar mítines con el PP a líder yihadista: la metamorfosis del melillense Hafid

De dar mítines con el PP a líder yihadista: la metamorfosis del melillense Hafid

Mohamed Hafid tiene 39 años. Hasta hace tres, pagaba sus cuotas en el PP de Melilla. Era el líder de la célula radical de seis miembros detenida este miércoles. Se reunían para ensayar vídeos con decapitaciones. Estaba casado y tenía un hijo. Veneraba a Imbroda, líder popular en la región.
135 meneos
3282 clics
Versión extendida para MSX del clásico de Topo Soft

Versión extendida para MSX del clásico de Topo Soft

Hace unas semanas tuvimos noticias del equipo de Topo Siglo XXI, el cual anunció a través de diferentes blogs y su grupo de Facebook que en poco tiempo tendríamos disponible una versión extendida de Viaje al Centro de la Tierra para MSX. Hoy podemos anunciar que esa versión está acabada y ya es una realidad.
380 meneos
1343 clics
Fallece el exvicepresidente de la Junta de Castilla y León, Tomás Villanueva

Fallece el exvicepresidente de la Junta de Castilla y León, Tomás Villanueva

Las primeras informaciones apuntan a que la muerte de Tomás Villanueva, de 64 años, se habría producido por causas naturales en su casa de Valladolid. En pocas semanas estaba llamado a declarar como 'imputado' por los casos de corrupción de la Trama Eólica y la compra de la Perla Negra. Rel: Hacienda rastrea 83 cuentas bancarias del exvicepresidente de Castilla y León y sus familiares por el caso Perla Negra www.meneame.net/story/hacienda-rastrea-83-cuentas-bancarias-exvicepres
221 meneos
7135 clics
Nuevos tiempos, nuevos fraudes: phishing unicode

Nuevos tiempos, nuevos fraudes: phishing unicode

Descripción de un caso de intento de fraude tipo phishing apoyado en URL con unicode y emisor de certificados gratuitos. El intento del protagonista de recuperar su smartphone robado estuvo a punto de salirle muy caro ya que casi pica ante un fraude bastante bien elaborado.
354 meneos
12956 clics
"Barbuda es apenas habitable":el rastro de destrucción que deja el huracán Irma en las islas del Caribe

"Barbuda es apenas habitable":el rastro de destrucción que deja el huracán Irma en las islas del Caribe  

Aunque varias islas han quedado sin suministro energético y aún se desconoce la magnitud del impacto del huracán, las redes sociales muestran ya imágenes de destrucción e inundaciones en la mayoría de las zonas afectadas por Irma.
677 meneos
1966 clics
Una guardería subvencionada por la Junta andaluza ubica a bebés en una caseta de obras

Una guardería subvencionada por la Junta andaluza ubica a bebés en una caseta de obras

Comienza el curso escolar y los quebraderos de cabeza para uno de los pilares básicos del Gobierno de Susana Díaz: la educación. La guardería Doñanita, en la localidad onubense de Almonte, ha ubicado a un grupo de ocho bebés de cero a un año en una caseta de obras situada en el jardín del colegio, con unas dimensiones de dos metros de ancho por seis de largo.
332 meneos
3304 clics
David Bravo, abogado especializado en Derecho informático comenta las denuncias por difamaciones en RRSS

David Bravo, abogado especializado en Derecho informático comenta las denuncias por difamaciones en RRSS  

En este caso concreto se tratan los supuestos delitos y las posibles acciones judiciales tras el cruce en redes sociales -como Twitter o Facebook- entre una usuaria y la posible denuncia de Inés Arrimadas, diputada de C´s. | Vía: twitter.com/dbravo/status/905500359208128517 - Vídeo 7 Minutos
194 meneos
5237 clics
Esto es un primer plano del polo norte de Saturno

Esto es un primer plano del polo norte de Saturno  

Captada por la nave espacial Cassini a tan sólo 267.000 kilómetros de altura sobre el planeta, la imagen que encabeza esta entrada son las nubes que hay sobre el polo norte de Saturno.
226 meneos
4131 clics
Una súbita mancha solar envía una tormenta magnética hacia la Tierra

Una súbita mancha solar envía una tormenta magnética hacia la Tierra  

Una mancha solar activa ha expulsado una potente eyección de masa coronal (CME por sus siglas en inglés) con dirección a la Tierra este 4 de septiembre, a las 20.30 horas GMT. La eyección se produjo tras una crecimiento vertiginoso de la mancha A32673, de diez veces su tamaño inicial, durante las 24 horas previas, y que fue detectada por el Solar Dynamic Observatory (SDO) de la NASA.
756 meneos
1285 clics
Carmena dice que "no es el momento" de que Madrid vuelva a optar a los JJOO

Carmena dice que "no es el momento" de que Madrid vuelva a optar a los JJOO

La alcaldesa de Madrid respondió de este modo en la Cadena Ser a las palabras del presidente del COE, que en una entrevista a Efe manifestó: "La idea no debe morir y, en cuanto haya una estabilidad económica y política, Madrid debe optar otra vez a los Juegos. No tengo ninguna duda".
326 meneos
11338 clics

La invasión de mosquitos que dejó el paso del huracán Harvey parece salida del infierno

Muchos han llamado al huracán Harvey un “desastre de proporciones bíblicas”, y parece que la siguiente plaga ya está sobre nosotros (no, no son langostas). Gracias a cantidades incalculables de agua estancada sucia, millones de mosquitos están comenzando a aparecer. Y sí, pican. Les encanta picar.
133 193 3 K 300 cultura
133 193 3 K 300 cultura
525 meneos
6878 clics
Primer SOS de Barbuda: El huracán Irma "destruye" el 90% de los edificios en la isla caribeña

Primer SOS de Barbuda: El huracán Irma "destruye" el 90% de los edificios en la isla caribeña

El 90% de todas las estructuras y carreteras en el territorio de la isla caribeña de Barbuda han quedado "totalmente destruidas" por el huracán Irma, mientras no se ha podido contactar aún con los residentes desde la llegada del fenómeno natural, según el primer ministro de la isla, Gastón Browne. El ojo del huracán, que ya ha alcanzado la categoría 5, ha sacudido este miércoles la isla, que quedó incomunicada durante 12 horas.
187 meneos
5527 clics
Sustancias psicoactivas, mitos y verdades (I)

Sustancias psicoactivas, mitos y verdades (I)

Es importante que se hable de política de drogas desde el ámbito escéptico y con escepticismo. [...] El problema de las sustancias es un problema de política pública y es un problema sanitario, que debe estar enfocado en las personas y no tanto en las sustancias per sé [...] Muchos problemas asociados a las “‘drogas” en realidad, están vinculados a la prohibición que genera estos mercados, como por ejemplo, toda una gama de sustancias que se venden como LSD y no son LSD [...]
726 meneos
2848 clics
Perros de la Unidad Canina de Protección Civil de Vigo, del servicio público al maltrato y el abandono

Perros de la Unidad Canina de Protección Civil de Vigo, del servicio público al maltrato y el abandono

El Seprona denuncia a los responsables del grupo canino por las “deplorables” condiciones en las que tenían a los animales, con graves heridas, desnutridos y hacinados.
390 meneos
3704 clics
Estos bloques de cristal generan electricidad a la vez que dejan pasar la luz al interior de los edificios

Estos bloques de cristal generan electricidad a la vez que dejan pasar la luz al interior de los edificios

Investigadores de la Universidad de Exeter en el Reino Unido han creado bloques de cristal incrustados de células solares, que además de generar electricidad, permiten la entrada de luz natural y proporcionan aislamiento térmico.Sólo unos meses después del debut de las tejas solares de Tesla, que ya han comenzado a instalarse en las casas de sus empleados, un grupo de investigadores de la Universidad de Exeter han encontrado otra solución BIPV (energía solar fotovoltaica integrada en edificios) : un bloque de cristal que puede ser incorporado
136 254 2 K 319 cultura
136 254 2 K 319 cultura
658 meneos
1907 clics
Envío erróneo o controvertido, por favor lee los comentarios.
El Parlament aprueba la ley para convocar el referéndum

El Parlament aprueba la ley para convocar el referéndum

El Parlament de Catalunya ha aprobado este miércoles la ley diseñada para dar amparo legal a la convocatoria de referéndum del próximo 1 de octubre. Los 71 diputados independentistas han votado favorablemente a la norma, mientras que los miembros de Ciutadans, PSC y PP han abandonado el hemiciclo.
615 meneos
1938 clics
Los turistas británicos gastan en toda su estancia lo mismo que un extracomunitario en 2 compras

Los turistas británicos gastan en toda su estancia lo mismo que un extracomunitario en 2 compras

El turista extracomunitario, que tiene un ticket medio de unos 550 euros, se gasta en dos actos de compra, prácticamente lo mismo que un británico en toda su estancia, según cifras de Global Blue, primer operador internacional de tax free. Las cifras evidencian cómo el modelo español de turismo tiene potencial para aumentar su rentabilidad, lo que pasa por seducir a un turista de mayor calidad y capacidad de gasto.
823 meneos
2656 clics
La gente debería estar muy agradecida por los desarrolladores de software libre

La gente debería estar muy agradecida por los desarrolladores de software libre

Los usuarios no suelen darse cuenta del valor del software libre que obtienen de forma gratuita. Cosas como Linux, LibreOffice, Inkscape, GIMP y un montón de otro software libre pueden ser esenciales en la vida cotidiana de cada uno de nosotros. Sin embargo, en realidad no podemos sentir placer por aquellos desarrolladores de software que nos proporcionaron todo esto. Es posible que no sientan el valor de lo que tienen. Si le pides a un ingeniero, a un médico, a un profesor, a un profesor o a un granjero que te entregue uno de los […].
425 meneos
3530 clics
El día que los políticos no aceptaron un soborno... y cayó el Imperio español de ultramar

El día que los políticos no aceptaron un soborno... y cayó el Imperio español de ultramar

Aunque parezca mentira por los muchos antecedentes de nuestros políticos, negociadores españoles no aceptaron el soborno de un millón de dólares ofrecido por los EEUU y se rechazó la venta de Cuba. Aunque el tono amenazante de la carta dejaba muy claras las intenciones del gobierno estadounidense, nunca reconocerán que la teoría del sabotaje español al Maine fue una patraña. Ya que, en el hipotético caso de hacerlo, dicho reconocimiento llevaría implícito que su propio gobierno provocó la muerte de 266 americanos.
131 294 0 K 284 cultura
131 294 0 K 284 cultura
650 meneos
1016 clics
La familia de la mujer seccionada por un ascensor: "Nadie de la Junta nos ha llamado"

La familia de la mujer seccionada por un ascensor: "Nadie de la Junta nos ha llamado"

La familia de Rocío Cortés, la joven que murió atrapada por las puertas de un ascensor del Hospital de Valme, denuncia que nadie de la Junta de Andalucía se ha puesto en contacto con ellos en ningún momento desde que se produjo el accidente. “No queremos ayudas, ni dinero, ni nada, sólo que se interesen por el caso porque creemos que es importante para que la investigación siga adelante”, explicaba Juan Cortés, hermano de la fallecida hace ya dos semanas, quien considera “inexplicable”, la falta de interés por parte del gobierno andaluz.
199 meneos
7643 clics
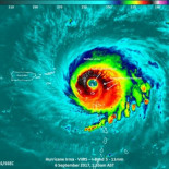
El satélite de la NASA ve a Barbuda en el ojo del huracán Irma

El satélite de la NASA ve a Barbuda en el ojo del huracán Irma  

En una imagen única, el satélite Suomi NPP de la NASA-NOAA pasó por encima del huracán Irma cuando la isla de Barbuda estaba en el centro del ojo de la tormenta.
453 meneos
2341 clics
Detenido un padre y su hijo de 14 años por intentar robar en el comercio donde se atropelló al niño chino

Detenido un padre y su hijo de 14 años por intentar robar en el comercio donde se atropelló al niño chino

Según han informado a Europa Press fuentes de la Jefatura Superior de Policía, el padre, de 44 años, acompañado de su hijo, aprovecharon el revuelo que generó el atropello para intentar robar en el comercio. Como consecuencia del fuerte choque, las puertas de cristal de la tienda quedaron rotas, por lo que tras las asistencias sanitarias un grupo de personas asaltó el local.

menéame